GeoHistory Resources

Purchase Image Reproduction

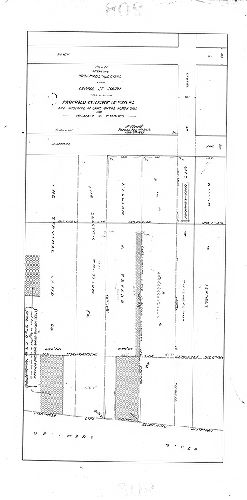
Plan, Plan of existing wharves and docks from Laurel St. south, also showing proposed extension of Pier 42 and widening of same on the north side for William S. Taylor

We're sorry, reproductions for this item are currently not available through our online ordering system. You may still in most cases order reproductions by contacting the holding institution directly.

PHILADELPHIA STREETS DEPARTMENT, SURVEY AND DESIGNS BUREAU

Frank Morelli
Survey Bureau Manager
Philadelphia Streets Dept.

Phone: (215) 686-5540
Email: frank.morelli@phila.gov

Plan, Plan of existing wharves and docks from Laurel St. south, also showing proposed extension of Pier 42 and widening of same on the north side for William S. Taylor

Original size: 18 x 35 in. (estimated)