GeoHistory Resources

Purchase Image Reproduction

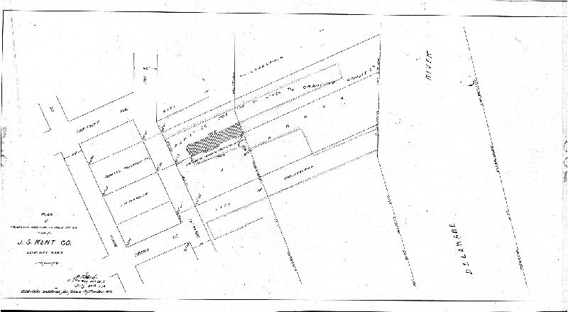
Plan, Plan of proposed addition to Pier No. 34 made for J. S. Kent and Co., Eleventh Ward, Philadelphia. Addition made as per plan September 1896

We're sorry, reproductions for this item are currently not available through our online ordering system. You may still in most cases order reproductions by contacting the holding institution directly.

PHILADELPHIA STREETS DEPARTMENT, SURVEY AND DESIGNS BUREAU

Frank Morelli
Survey Bureau Manager
Philadelphia Streets Dept.

Phone: (215) 686-5540
Email: frank.morelli@phila.gov

Plan, Plan of proposed addition to Pier No. 34 made for J. S. Kent and Co., Eleventh Ward, Philadelphia. Addition made as per plan September 1896

Original size: 20 x 36 in. (estimated)