GeoHistory Resources

Purchase Image Reproduction

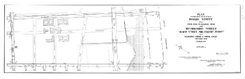
Plan, Plan striking from City Plan No. 292 Rhawn Street from State Road to Delaware River, also Wissinoming Street, Milnor Street and Eugene Street from Holmesburg Avenue to Hartel Street, Forty-first Ward, Philadelphia [Ordinance March 5, 1913; confirmed May 19, 1913]

We're sorry, reproductions for this item are currently not available through our online ordering system. You may still in most cases order reproductions by contacting the holding institution directly.

PHILADELPHIA STREETS DEPARTMENT, SURVEY AND DESIGNS BUREAU

Frank Morelli
Survey Bureau Manager
Philadelphia Streets Dept.

Phone: (215) 686-5540
Email: frank.morelli@phila.gov

Plan, Plan striking from City Plan No. 292 Rhawn Street from State Road to Delaware River, also Wissinoming Street, Milnor Street and Eugene Street from Holmesburg Avenue to Hartel Street, Forty-first Ward, Philadelphia [Ordinance March 5, 1913; confirmed May 19, 1913]

Original size: 18 x 56 in. (estimated)