GeoHistory Resources

Purchase Image Reproduction

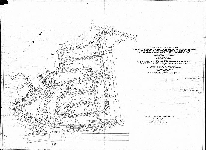
Plan, Plan placing upon City Plan No. 389 [numerous streets and drainage rights-of-way] in the area northwest of Northeast Avenue, southeast of Woodfern Road, and southwest of the Philadelphia electric Company's right-of-way, pursuant to section 11-402 of the Philadelphia Code ... Thirty-fifth Ward, Philadelphia [Ordinance Jan. 2, 1957; confirmed May 20, 1957]

We're sorry, reproductions for this item are currently not available through our online ordering system. You may still in most cases order reproductions by contacting the holding institution directly.

PHILADELPHIA STREETS DEPARTMENT, SURVEY AND DESIGNS BUREAU

Frank Morelli
Survey Bureau Manager
Philadelphia Streets Dept.

Phone: (215) 686-5540
Email: frank.morelli@phila.gov

Plan, Plan placing upon City Plan No. 389 [numerous streets and drainage rights-of-way] in the area northwest of Northeast Avenue, southeast of Woodfern Road, and southwest of the Philadelphia electric Company's right-of-way, pursuant to section 11-402 of the Philadelphia Code ... Thirty-fifth Ward, Philadelphia [Ordinance Jan. 2, 1957; confirmed May 20, 1957]

Original size: 36 x 49 in. (estimated)