GeoHistory Resources

Purchase Image Reproduction

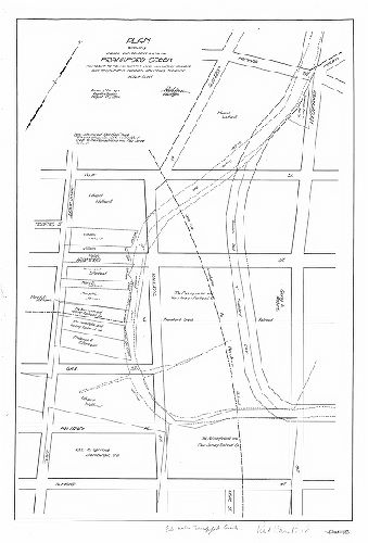
Plan, Plan showing former and present beds of Frankford Creek adjacent to Pennsylvania and New Jersey Railroad and registered owners abutting thereon. Bureau of Surveys, Registry Division, August 18, 1914. P-4-18.

We're sorry, reproductions for this item are currently not available through our online ordering system. You may still in most cases order reproductions by contacting the holding institution directly.

PHILADELPHIA STREETS DEPARTMENT, SURVEY AND DESIGNS BUREAU

Frank Morelli
Survey Bureau Manager
Philadelphia Streets Dept.

Phone: (215) 686-5540
Email: frank.morelli@phila.gov

Plan, Plan showing former and present beds of Frankford Creek adjacent to Pennsylvania and New Jersey Railroad and registered owners abutting thereon. Bureau of Surveys, Registry Division, August 18, 1914. P-4-18.

Original size: 11 x 16 in. (estimated)